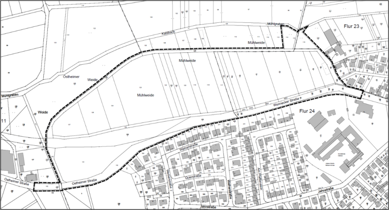
Die Stadtverordnetenversammlung der Stadt Nidderau hat in ihrer Sitzung am 01.06.2023 gemäß § 2 Abs. 1 BauGB die Aufstellung des Bebauungsplanes Nr. 5-016-00 „Mühlweide II“ beschlossen. Der räumliche Geltungsbereich des Bebauungsplanes umfasst in der Gemarkung Windecken, Flur 11, die Flurstücke 125/2 teilweise und 142 teilweise sowie in der Gemarkung Ostheim die nachfolgend genannten Flurstücke:
- Flur 2: Flurstücke 114, 115, 116/1, 116/2, 117, 118, 119, 120, 121/1, 121/2, 122, 123,
124, 126, 127, 128, 129/1, 129/2, 130, 131 und 132;
- Flur 23: Flurstück 115
- Flur 24: Flurstücke 19/4, 19/5, 19/6, 20/2, 21/1, 23/1, 25/1, 26/1, 26/2, 98/6, 99/7
teilweise, 99/9, 99/10, 99/19, 99/20, 99/21, 99/22, 99/23, 99/24, 99/25, 99/26, 99/27 und 99/28.
Die Abgrenzung des räumlichen Geltungsbereiches des Bebauungsplanes kann der nachfolgenden Übersichtskarte entnommen werden.
Mit der Aufstellung des Bebauungsplanes sollen im Stadtteil Ostheim die bauplanungsrechtlichen Voraussetzungen für die städtebauliche Entwicklung eines Wohngebietes im Bereich nördlich der Landesstraße L 3009 geschaffen werden. Das Planziel des Bebauungsplanes ist die Ausweisung eines Allgemeinen Wohngebietes gemäß § 4 Baunutzungsverordnung (BauNVO) sowie die Sicherung der zugehörigen Erschließung und Grünflächen. Zur Wahrung einer geordneten städtebaulichen Entwicklung werden zudem Festsetzungen unter anderem zum Maß der baulichen Nutzung, zur Bauweise und zu den überbaubaren Grundstücksflächen getroffen sowie bauordnungsrechtliche Gestaltungsvorschriften formuliert. Hinzu kommt die geplante Ausweisung von Flächen für einen künftigen Feuerwehrstandort im westlichen Anschluss an das geplante Wohngebiet sowie die Ausweisung eines ergänzenden Mischgebietes gemäß § 6 BauNVO im Bereich südlich der Landesstraße L 3009.
Der Aufstellungsbeschluss wird hiermit bekanntgemacht.

Nidderau, 30.06.2023
Der Magistrat der Stadt Nidderau
Andreas Bär
Bürgermeister

